Jamaica ordena salida masiva ante el impacto inminente del huracán Melissa, ahora categoría 5

Jamaica ordena salida masiva ante el impacto inminente del huracán Melissa, ahora categoría 5

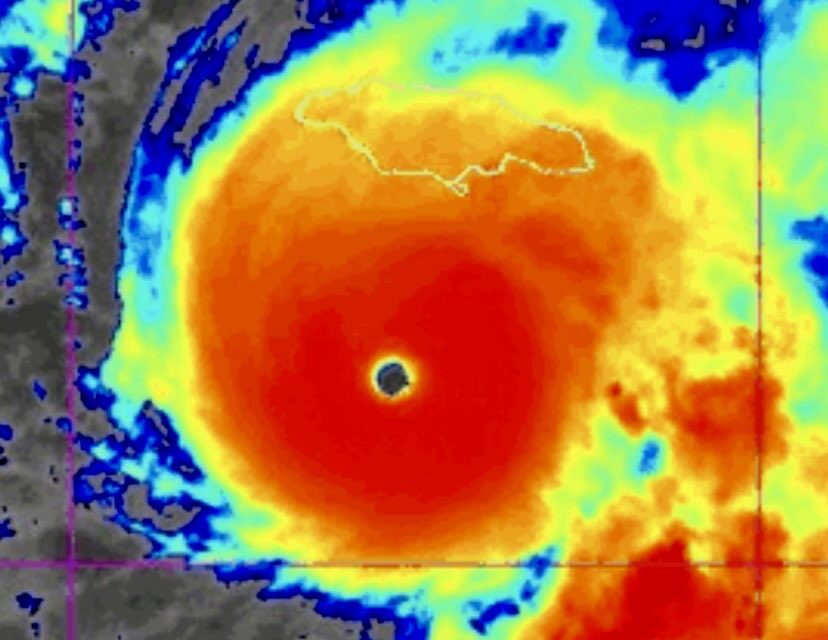
Kingston, Jamaica.— El gobierno de Jamaica emitió una orden de evacuación obligatoria para miles de habitantes de la capital y comunidades costeras, ante la inminente llegada del huracán Melissa, que alcanzó la categoría 5 en la escala Saffir-Simpson y se perfila como una de las tormentas más poderosas en la historia del Caribe.

Autoridades confirmaron que más de 800 refugios han sido habilitados en todo el país para recibir a las familias desplazadas, mientras cuadrillas de emergencia trabajan contrarreloj ante los pronósticos de lluvias torrenciales de hasta un metro, vientos devastadores y oleajes superiores a los 4 metros.

Las zonas de Port Royal, Old Harbour Bay, Rocky Point, Taylor Land, New Haven y Riverton City fueron señaladas como las más vulnerables y sujetas a evacuación inmediata.
“Muchas comunidades no sobrevivirán las inundaciones si no salen ahora”, advirtieron las autoridades, que pidieron a la población acatar las instrucciones sin demora.

El huracán Melissa avanza lentamente hacia la isla, incrementando el riesgo de inundaciones prolongadas y deslizamientos. Expertos prevén que su impacto directo podría ocurrir durante las próximas horas, con consecuencias “potencialmente catastróficas”.